移至主內容
物種
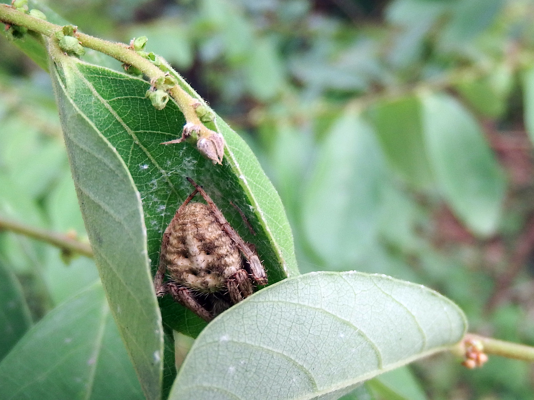
茶色姬鬼蛛 Neoscona punctigera (未鑑定)
[原始紀錄物種] 茶色姬鬼蛛 Neoscona punctigera
鑑定
未鑑定
敏感層級
座標不開放
日期
2023-12-01
地點
記錄者
大肚魚
型態
成體
性別
標本
未採集標本
描述
註記
授權
照片授權: CC BY (大肚魚)
識別號
417b5662-92b1-411a-ac9f-73067f1dd9f3 (OccurrenceUUID)
2010281 (nid)